Les ravageurs les plus dangereux des pommes de terre et les méthodes pour les combattre
Dans notre pays, les pommes de terre sont cultivées par presque tous les jardiniers. Bien sûr, tout le monde veut obtenir une récolte riche et saine, mais ce n'est pas toujours facile. Le légume est sensible aux attaques de ravageurs et aux maladies fongiques. Pour ceux qui veulent sauver leurs pommes de terre, il est important d'en savoir le plus possible sur leurs ennemis, sur quand la prévention aidera et quand - seulement ouvrir la bataille.
Dans l'article, vous trouverez un dossier complet sur les ravageurs de la pomme de terre et apprendrez les méthodes pour leur destruction.
Le contenu de l'article
- Causes des ravageurs des pommes de terre
- Comment reconnaître les ravageurs à temps
- Les principaux types de ravageurs de la pomme de terre
- Qui ronge les pommes de terre et ronge les tubercules dans le sol et la cave
- Qui d'autre peut ronger
- Méthodes de lutte antiparasitaire de la pomme de terre
- Trucs et astuces pour la lutte antiparasitaire
- Conclusion
Causes des ravageurs dans les pommes de terre

Il existe de nombreuses raisons pour lesquelles les ravageurs attaquent les pommes de terre. Voici les principaux:
- Semence infectée.
- Non-respect des règles sanitaires: les outils de jardin n'ont pas été décontaminés depuis l'année dernière.
- Violation des règles de rotation des cultures - plantation de pommes de terre sur un site où des tomates, des aubergines et des poivrons avaient déjà poussé. Ces cultures ont en commun de nombreux ravageurs. Les meilleurs prédécesseurs sont les concombres, les oignons et les radis.
- Cultiver des pommes de terre au même endroit pendant plusieurs années consécutives.
- Conditions climatiques défavorables aux pommes de terre, caractéristiques saisonnières.
- Erreurs agrotechniques - plantation précoce ou tardive, arrosage excessif, manque de relâchement et de buttage, abondance de mauvaises herbes.
Tous ces facteurs ne sont pas propices à l'obtention d'une récolte riche, car non seulement vous aimez les pommes de terre, mais aussi les ravageurs gloutons.
Référence! Infecter le palier virus et les ravageurs peuvent être lors de l'ajout de nouveau sol ou lors de l'arrosage avec de l'eau provenant de plans d'eau contaminés.
Comment reconnaître les ravageurs à temps
Afin de protéger les pommes de terre et de reconnaître les ravageurs à temps, il est recommandé d'examiner attentivement les pousses dès l'apparition des premières pousses. Faites-le régulièrement en recherchant les symptômes caractéristiques et prenez les mesures appropriées dès le premier soupçon.
Chaque type d'insecte détruit différentes parties de la plante. Pour un contrôle efficace, identifiez d'abord le type de ravageur, puis utilisez les moyens appropriés. Cela prendra du temps, cela ne fonctionnera pas de tout faire en même temps avec une sorte de médicament universel "contre tous". Chaque parasite particulier a sa propre méthode spéciale d'élimination.
Les principaux types de ravageurs de la pomme de terre
Certains types d'insectes vivent dans le sol, ils peuvent y rester plusieurs années sous forme de larves, sans trahir leur présence. Il existe également de tels ravageurs qui se retrouvent sur les buissons de pommes de terre par vent fort ou par humidité excessive. Parlons plus en détail des ravageurs les plus dangereux pour les pommes de terre et des méthodes pour les combattre.
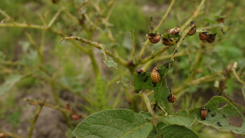
Doryphore

C'est un insecte rayé tout le monde sait. Le ravageur le plus massif et donc le plus dangereux des pommes de terre. Les larves du coléoptère sont particulièrement gourmandes en mangeant les sommets, ce qui entraîne une diminution significative du rendement du légume.
Les adultes détruisent non seulement les feuilles et les tiges, mais aussi les tubercules. Ils hibernent dans le sol, et au printemps, volant d'un buisson à l'autre, ils pondent rapidement et en masse des œufs sur les pousses dès qu'elles émergent du sol. C'est pendant cette période qu'il est important de détruire la population principale de coléoptères. Pour cela, il est recommandé d'utiliser des insecticides tels que "Commander", "Sonnet", "Aktara". Traitez les buissons trois fois par saison, la dernière fois 20 jours avant la récolte.
À partir de remèdes populaires, la pulvérisation des buissons avec de fortes infusions de menthe, de tanaisie et de cassis convient. La méthode la plus simple connue, et en même temps très efficace, est la collecte manuelle des coléoptères et des larves. La procédure est effectuée au moins deux fois par semaine.
Fil de fer et faux fil

Jaune Ver de terre jusqu'à 3 cm de long, la larve du coléoptère clic. Détruit les feuilles, les tubercules et même le système racinaire des pommes de terre. Il se nourrit également d'agropyre, il est donc préférable de se débarrasser de cette mauvaise herbe à l'avance.
Il est recommandé de creuser profondément la terre en automne et au printemps comme moyen le plus efficace de traiter avec un invité indésirable. Ou vous pouvez mettre un appât entre les rangées de pommes de terre - un tubercule haché placé dans le sol, et après un certain temps, retirez-le avec les vers. Parmi les préparations chimiques, l'utilisation d'insecticides FORS ou Hurricane Forte BP est efficace.
Faux fil - larves du coléoptère noir. Ils se nourrissent de tubercules, de racines et d'autres parties de la plante. Les leurres, le creusement, ainsi que l'introduction de cendre de bois dans le sol avant de planter des pommes de terre aident également à les combattre.
Nématode

Voir nématode c'est difficile à l'œil nu, ils sont si petits. Ils attaquent la tige et les racines de la pomme de terre sous terre, détruisant toute la structure. La principale caractéristique de leur attaque est le jaunissement des feuilles inférieures des sommets. Les nématodes peuvent vivre dans le sol jusqu'à 10 ans, il est donc extrêmement difficile de les détruire, mais c'est possible.
Traitez toute la zone pour les pommes de terre avec de l'urée et après la récolte, couvrez-la avec beaucoup de chaux... Il est également conseillé d'arroser le sol avec une solution de fumier de poulet, s'il est disponible en grande quantité.
Un autre remède - le médicament "Bazudin Extra" - protège parfaitement non seulement des nématodes, mais aussi des charançons, des ours, des larves de mouches et d'autres parasites.
Papillon de jardin

Un petit papillon gris, dont les larves ne craignent pas non plus de manger tous les légumes verts et les tubercules des pommes de terre et des tomates, des aubergines et des poivrons. Ignorer ce ravageur peut entraîner la perte de toute la récolte.
Pour la prophylaxie, le creusement profond d'automne et le traitement du matériel de semence avec une solution forte de bromure de méthyle conviennent. Parmi les préparations chimiques, les plus efficaces contre les mites sont Sherpa, Zolon, Arrivo.
Scoop

Les papillons adultes de couleur cendre, actifs la nuit, ne représentent pas en eux-mêmes un danger pour les pommes de terre, contrairement à leurs chenilles. Ces gloutons verts mangent tout ce qu'ils peuvent manger. Détruisez les tiges, les feuilles et les tubercules. Après le "déjeuner", ils se reposent à l'ombre de l'agropyre, l'hiver au même endroit.
La meilleure protection contre les chenilles est la lutte contre les mauvaises herbes. Contre les papillons de nuit eux-mêmes, pondant des œufs, des pièges à phéromones spéciaux sont utilisés à cet effet. Il est conseillé d'utiliser des insecticides "Cymbush" ou "Decis".
Cigales

Insectes sauteurs ne dépassant pas 3 cm, semblables à un papillon de nuit... Pendant la journée, ils vivent dans des fourmilières (ils ont une coopération interspécifique avec les fourmis) et la nuit, ils boivent des jus de plantes. Cela entraîne un ralentissement du développement et la mort d'une partie de la pomme de terre. Les feuilles jaunissent et se déforment, des taches brunes et blanches apparaissent à leur surface.
De plus, ces ravageurs sont porteurs de maladies virales et les adultes et les larves sont dangereux. Pour protéger les semis, le sol est traité avec Tabu et Kruiser avant la plantation. Et si la cicadelle est déjà apparue dans le jardin, ils utilisent le remède "Karate Zeon", après avoir étudié au préalable les instructions.
Puce de pomme de terre

Coléoptère noir atteignant 3 mm de long, endommageant les têtes de pommes de terre. Les larves se développent sur les racines et détruisent les buissons sains.Les adultes se nourrissent du feuillage, laissant des fosses et des trous à sa surface. Les semis meurent.
Les conditions confortables pour les altises sont le temps chaud et sec ou la plantation tardive de pommes de terre. Parmi les méthodes de lutte, le médicament "Confidor" est reconnu comme le plus efficace; la plantation précoce du légume est recommandée pour la prévention.
Medvedka

Insecte orthoptère jusqu'à 5 cm de longueur, de couleur brun foncé. Il a des ailes, des mâchoires fortes, de la moustache et des pattes puissantes, et sait creuser profondément dans le sol. Un ours adulte équipe un nid souterrain, où il fait éclore des centaines de larves de 2 à 3 mm. Leur croissance et leur développement prennent plusieurs années.
L'insecte est dangereux pour toutes les plantes qu'il rencontre. Aime les pommes de terre, les concombres, les betteraves, le chou et de nombreuses céréales. Medvedka mange complètement les tubercules de pomme de terre, et ses larves rongent la tige et détruisent les sommets.
Vous pouvez vous débarrasser du parasite en utilisant des excréments de poulet - l'insecte ne supporte pas son odeur piquante. Coriandre, soucis, ail, calendula, chrysanthèmes et menthe sont plantés le long du périmètre du site et entre les plates-bandes. L'odeur spécifique de ces plantes effraie également l'ours.
Les ennemis naturels des insectes sont les lézards et les hérissons: ne les chassez pas de votre territoire s'ils y habitent. En utilisant la chimie, rappelez-vous que vous pouvez également détruire les insectes utiles, alors essayez de choisir des médicaments doux, par exemple, "Medvetox".
Khrouchtch

C'est un coléoptère de mai. Le mal est causé par sa larve. Il ressemble à une chenille épaisse et enroulée de couleur jaune-gris. Le coléoptère lui-même n'est pas dangereux pour les cultures de pommes de terre, mais sa larve peut gâcher les tubercules et les racines de la plante.
À la fin du mois d'avril, une femelle de coléoptère de mai pond ses œufs dans le sol jusqu'à une profondeur d'environ 40 cm, les larves vivent plusieurs années, période pendant laquelle elles peuvent causer d'énormes dégâts à la culture. Un de ces individus est capable d'endommager plusieurs dizaines de tubercules de pomme de terre en deux semaines.
Il est possible de déterminer qu'une culture maraîchère est affectée par la larve du coléoptère de mai par les feuilles: si elles sèchent, jaunissent et se fanent sans raison particulière, la larve du coléoptère s'est installée dans vos lits. Il n'est pas facile de le détruire. Le creusement profond d'automne est obligatoire. Certaines plantes, par exemple le lupin, le sureau et toutes les plantes crucifères, repoussent l'insecte. Parmi les produits chimiques utilisés "Antichrusch" ou "Bazudin".
Puceron de la pomme de terre
Les petits insectes, de forme elliptique, pas plus de 3,5 ml, de couleur blanc-vert, peuvent voler. Par temps sec, ils se reproduisent le plus intensément, en suçant le jus des plantes, laissant derrière eux une décharge sucrée caractéristique.
Les cendres ou la craie broyée aideront à éliminer les parasites; ces mélanges sont densément saupoudrés sur les plantes touchées et le sol en dessous. Si l'infection est massive, il convient de pulvériser l'agent chimique "Aktara" ou "Tiara".
Limaces

Les limaces nues attaquent rarement les pommes de terre, mais en période de famine, elles ne dédaignent pas la plantation. Ils sont actifs principalement la nuit et là où il fait humide et humide. Les feuilles et les tubercules sont touchés, laissant les tiges nues. Les limaces sont porteuses de nombreuses maladies fongiques. Après eux, le buisson de pommes de terre endommagé devient souvent atteint du mildiou.
Le moyen le plus inoffensif d'éliminer les limaces pour les plantes environnantes et les humains est de verser une fine fraction de coquilles d'œufs ou de gros sel de table sur les planches: elles ne peuvent pas se déplacer sur une telle surface.
Rousse fessée

Coléoptère noir avec des rayures blanches et une tête rouge. Taille du corps jusqu'à 20 mm de long. Dommage les pommes de terre en endommageant les feuilles et les fleurs. Les coléoptères sont toxiques - manger un insecte avec l'herbe, l'animal peut être gravement intoxiqué, cela peut même être mortel. En touchant accidentellement les pattes d'un coléoptère, des abcès purulents se forment sur la peau d'une personne et si le poison pénètre dans les yeux, vous pouvez perdre la vue.
Lorsque vous décidez d'éliminer le spanko, débarrassez-vous d'abord des mauvaises herbes sur lesquelles vivent les ravageurs, puis appliquez la chimie Akarin ou Calypso. Portez des gants lors du désherbage.
Punaises

Les punaises crucifères attaquent souvent le feuillage du chou, mais elles n'abandonneront pas les pommes de terre à l'occasion. La sève des plantes est le principal aliment des punaises de lit. Il n'est pas difficile de les voir sur les atterrissages, ils ont une couleur rouge et noire brillante. Ils se propagent avec une vitesse particulière par temps chaud.
La méthode la plus efficace pour lutter contre ce ravageur est la prévention. Ceux-ci comprennent: la plantation précoce d'un légume, le respect de la rotation des cultures. La tanaisie et l'absinthe aideront, leur odeur effraie les punaises de lit.
Rongeurs

Certains rongeurs, par exemple, le rat-taupe et le rat de terre mangent joyeusement des tubercules de pomme de terre, et ceux qui ne sont plus capables de manger, les traînent dans leurs terriers. Les taupes, comme les taupes, laissent des passages dans le sol et à la surface - de petits monticules de terre.
Il est préférable de faire fuir ces gros ravageurs plutôt que de les détruire. Des répulsifs spéciaux sont vendus dans les magasins de jardinage. S'il était possible de trouver des passages de vison ou de rongeur, mettez un chiffon imbibé d'essence ou de kérosène sur leur passage. Ce remède populaire simple aidera à chasser les animaux du jardin.
Qui ronge les pommes de terre et ronge les tubercules dans le sol et la cave
Les tubercules sucrés attirent une variété de rongeurs avec leur goût, ce qui peut causer de gros problèmes après la récolte.
Voici les principaux ravageurs:
- Taupes... Les petits habitants du sous-sol duveteux peuvent endommager les stocks de pommes de terre non seulement dans les lits, mais aussi dans la cave. Par des passages souterrains, ils pénètrent facilement dans l'entrepôt et mangent des tubercules.

- Les rats. Des mammifères intelligents qui ne peuvent pas être capturés avec un piège à rats. Détruisez les tubercules de pomme de terre dans la cave.
- Souris. Surveillez de près les conditions de stockage de vos pommes de terre pendant toute la période froide, car les légumes attirent les petits rongeurs, y compris les souris, vers les sous-sols chauds. De plus, les ravageurs parviennent non seulement à manger des pommes de terre, mais essaient de mordre presque tous les tubercules.
Important! Les tubercules de pomme de terre gâtés par les rats et les souris ne peuvent pas être consommés. Les rongeurs sont porteurs de maladies infectieuses dangereuses, et même le traitement thermique ne garantit pas que l'infection a été détruite.
Les remèdes contre les rongeurs sont choisis en fonction du type de ravageur et de la taille de la population. Dans certaines situations, les pièges suffisent, dans d'autres cas, vous devez vous battre avec l'aide d'une chimie puissante. Dans les maisons privées, les meilleurs gardiens de récolte sont les chats.
Qui d'autre peut ronger
De nombreux rongeurs aiment les tubercules de pomme de terre, même ceux qui sont extrêmement rares dans le jardin. Le campagnol d'eau est un parent éloigné des hamsters. Il est de couleur brun foncé, mesure jusqu'à 20 cm de long, il s'installe généralement sur les rives des plans d'eau, mais plus près de l'automne, il peut être trouvé dans les jardins et les champs. Il n'entre pas en hibernation, donc il fait de grandes réserves de nourriture, y compris des pommes de terre.
Comment y faire face
Il y a trois manières principales pour une lutte réussie, la manière la plus efficace est de les combiner ou de les alterner. Examinons chacun plus en détail.
Remèdes populaires
Méthodes folkloriques éprouvées de lutte:
- La colle. Appliquez un adhésif anti-souris sur une feuille de carton ou de contreplaqué. Placez l'appât au milieu. Le principal avantage est que la colle fixe bien la souris, elle ne peut pas s'échapper, mourir et se décomposer dans un endroit difficile à atteindre. Moins signifie - l'animal meurt pendant longtemps à l'agonie, tout le monde ne peut pas résister à un tel spectacle.

- Bombes fumigènes. Les substances toxiques des dames lors de la combustion remplissent l'espace aérien, tuant les rongeurs. De plus, les bombes fumigènes sont une excellente prévention de l'apparition de champignons et de moisissures. Mais l'utilisation du produit nécessitera de sérieuses précautions, car il est dangereux pour les autres animaux et les humains.
- Albâtre. Mélangez l'albâtre et la pâte dans des proportions égales, placez le mélange dans la cave, mettez une soucoupe d'eau sur le sol. Après avoir avalé avec de l'eau, l'albâtre durcit dans l'estomac du ravageur et provoque sa mort. L'avantage de l'outil est son faible coût. Le principal inconvénient est que les rats, contrairement aux souris, sont plus prudents et risquent de ne pas tomber dans ce piège.
Chimique
Ce sont des poisons et des appâts alimentaires empoisonnés. Avant d'utiliser l'appât, il est recommandé de nourrir les rongeurs pendant plusieurs jours.
Le principal avantage est l'efficacité et la disponibilité, moins - les parasites mourront dans des endroits inaccessibles pour vous, provoquant une odeur désagréable. De plus, les animaux domestiques peuvent mourir avec eux.
Attention! L'utilisation de produits chimiques plus de trois fois par saison est dangereuse pour la santé!
Mécanique
Peut-être les méthodes les plus sûres pour les humains.
- Piege a souris. Versez un peu d'huile de tournesol dans la souricière ou mettez quelques graines de citrouille, les rongeurs adorent ces délices et ne passeront pas. Le principal avantage est l'efficacité et l'inconvénient est qu'un piège à souris ne détruit qu'une seule souris.
- Piège à rat. Les pièges à rats fonctionnent sur le principe des pièges à souris, mais plus gros et avec un ressort plus rigide. Utilisez des saucisses, du pain ou du fromage comme appât.
- Ultrason. Sans danger pour les humains, n'inhibe que le système nerveux des rongeurs. Une manière humaine de combattre, lorsqu'elle est utilisée, les ravageurs quittent simplement la zone touchée. Un outil coûteux est le principal inconvénient. Les rats peuvent ne pas partir immédiatement après avoir posé le piège - vous devrez attendre quelques semaines.
Méthodes de lutte antiparasitaire de la pomme de terre
La liste des insectes ravageurs des pommes de terre est énorme, de sorte que chaque année, le nombre de nouveaux médicaments pour leur destruction augmente. Les méthodes traditionnelles et éprouvées par le temps ne sont pas inférieures à la chimie, en particulier lorsqu'il s'agit de petites surfaces.
Contrairement aux drogues artificielles, elles ne nuisent pas à la nature et aux humains. Discutons des principales méthodes de lutte contre les parasites.
Traitement chimique
Cette méthode d'élimination des ravageurs est le plus souvent utilisée lorsque toutes les autres méthodes n'ont pas donné de résultats ou lorsque la zone affectée par les ravageurs est trop grande. Le sol est cultivé avant la plantation des pommes de terre, les sommets sont pulvérisés pendant la croissance de la plante et le sol est désinfecté après la récolte.
Les meilleurs produits chimiques sont:
- "Le commandant";
- "Obliger"
- «Bazudin Extra»;
- "Sherpa";
- "Tsimbush";
- "Tabou;
- "Tyra" et autres.
Méthodes folkloriques
Les remèdes populaires ont testé leur efficacité au fil du temps. Parmi les nombreuses options, seules restaient celles qui ont vraiment aidé de nombreux jardiniers.
Par exemple, les résidents d'été chevronnés plantent de la tanaisie, des soucis, du basilic et de l'aneth à côté des pommes de terre, dont l'odeur spécifique ne plaît pas aux ravageurs. Et lors de la plantation de pommes de terre, 100 g de cendre de bois sont ajoutés dans les trous pour effrayer les insectes, tandis que les tubercules eux-mêmes sont trempés dans une solution faible de permanganate de potassium pendant plusieurs heures avant la plantation.
Biologique
L'ennemi de mon ennemi est mon ami! La méthode biologique de lutte est basée sur le fait que chaque parasite dans la nature a son propre ennemi. Les insectes sont mangés par d'autres insectes, oiseaux, grenouilles, etc.
Les jardiniers expérimentés ne sont pas pressés de tuer les taupes, car ils mangent des larves sales, les coccinelles adorent les pucerons de la pomme de terre, la punaise macrofulus mange des pucerons, les sauterelles n'abandonneront pas les larves de doryphore de la pomme de terre, et la guêpe fouisseuse ne peut imaginer son «déjeuner» sans ours.
À propos, vous pouvez attirer une guêpe fouisseuse sur votre site en plantant une grappe de cassia autour du périmètre du jardin, dont le nectar et les fleurs attirent ce type d'insecte particulier.
Référence. Faites attention au médicament moderne "Nemabakt". Sa particularité réside dans le fait que les nématodes sont le principal composant de cet agent protecteur. Oui, il existe des nématodes qui parasitent les insectes nuisibles et leurs larves. Sur la base de ces nématodes, les scientifiques ont créé un bioinsecticide "Nemabakt".
Mécanique
La méthode mécanique consiste à ramasser les coléoptères et les larves des sommets ou lors du creusement du sol. Cela comprend également toutes sortes de pièges qui peuvent être achetés dans des magasins spécialisés ou conçus par vous-même.
Par exemple, il n'est pas du tout difficile de construire un tel piège pour un ours: creusez un pot d'un litre dans le sol jusqu'au cou, enduisez ses parois à 2 cm d'en haut avec du miel, couvrez le pot de 3/4 avec un morceau de feuille de fer, masquez-le avec de la paille. En essayant de se régaler de miel, l'ours tombera dans un bocal, dont elle ne pourra plus sortir.
Trucs et astuces pour la lutte antiparasitaire
La meilleure bataille est celle qui n'a jamais eu lieu. Afin de ne pas lutter contre les ravageurs tout l'été, les jardiniers expérimentés prennent des mesures préventives.
Voici quelques conseils sur la meilleure façon de procéder:
- assurez-vous de creuser le sol à l'automne et au printemps, afin de pouvoir vous débarrasser manuellement de la plupart des larves et des terriers de parasites;
- un désherbage rapide, un ameublissement du sol et un buttage des pommes de terre aideront à éviter les attaques sur les légumes par de nombreux ravageurs;
- pour sauver les pommes de terre des mites et autres ravageurs tardifs, plantez des variétés de pommes de terre précoces, elles auront le temps de mûrir avant que les chenilles et les papillons ne soient actifs.
Conclusion
Il existe un antidote pour tout poison, pour chaque ravageur - sa propre méthode de lutte. Prenez soin de votre récolte à l'avance, faites de la prévention, et si l'invasion de parasites ne peut être évitée, utilisez des moyens folkloriques, mécaniques ou biologiques. Et seulement après vous être assuré que rien n'a aidé, utilisez des produits chimiques.
Attaquez les ravageurs de tous les côtés, de différentes manières, ils n'auront alors aucune chance de gâcher votre récolte.